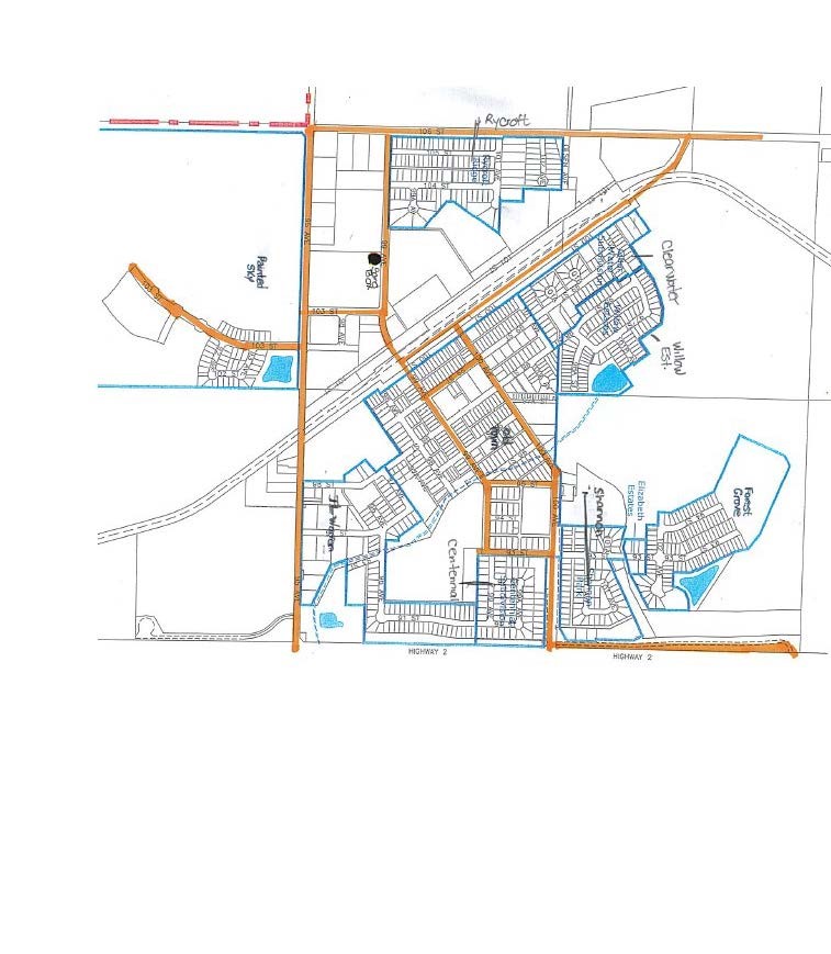
Priority One Snow Route
Snow Removal Routes
Town of Sexsmith
Public Works Department
Address: 10530 – 95 Avenue
Public Works Superintendent: Alan Gordey
Phone: 780-568-3070
Town of Sexsmith Snow Removal Program
- Priority One Route (Yellow on map): These routes are cleared first, this is including main roads and essential areas.
- Subdivisions: Public Works rotates which subdivisions to start cleaning after each snowfall
- Snow Removal Cycle: The goal is to clear snow in a 5 day cycle.
Breakdown of the 5-Day Cycle:
- Day 1: Clear priority one routes, town access roads, and critical facility parking lots, including sanding.
- Day 2: Begin snow removal on one side of the town (west to ears, alternating with each snowfall), with sanding, and starting clearing sidewalks and trails.
- Day 3: Continue snow removal with sanding
- Day 4: Continue snow removal with sanding
- Day 5: Continue snow removal with sanding
Additional info:
- Please note the Resident Snow Dump as moved, please see priority one map.
- The sandbox for ice control is provided for residents (indicated on the may in black)
- For any concerns, residents should contact the Public Works Department at 780-568-3070.
January 15, 2026 Snow Removal Notice
Public Works crews will be finishing snow removal in Clearwater and Willow Estates, and will then move on to Old Town.
Residents are asked to please move vehicles off the streets and garbage carts to assist with snow removal operations.

